“买猫凉一阵,养猫火葬场”,这句话前段时间很火,形容难养的猫很贴切。以下三种猫是公认的“买一会猫,养一场猫火葬场”。想养猫,请不要盲目起步~
平均寿命:8~13年
缺点:
患有遗传病;折耳猫有软骨遗传病,这种病不仅体现在耳朵软骨的软骨发育不全,还体现在身体的骨骼上。折耳猫大概2~6个月左右就会生病。一旦得病,很痛苦,还要靠药物控制病情,很难养。
巨大的费用;折耳猫发病后,需要花费大量的医疗费用,太贵了,一般人负担不起。很多人不了解情况,就一直养折耳猫。当他们生病时,他们不想花钱治疗,所以他们选择抛弃他们。这也是折耳猫弃养率高的原因之一。
寿命短;折耳猫因为软骨遗传病,平均寿命很短,有些折耳猫会因为无法承受生病时的痛苦而死亡。
平均寿命:12~14年
缺点:
头发很难护理;缅因猫是体型最大的猫之一,而且它的毛很长,所以很难照顾它,需要花费大量的时间和精力。
食量是个“无底洞”;因为缅因猫个头大,胃口就像无底洞。它们需要喂大量的猫粮来填饱肚子,没有一定的经济能力是养不起的。
易于拆卸;缅因猫还是很好奇的,喜欢在屋子里跑来跑去,蹦蹦跳跳。它需要很大的空间来养,否则缅因浣熊猫会很容易被拆掉。不过缅因猫的智商很高,所以宠物主人可以多利用冻干零食来训练它,这样可以让缅因猫更聪明。
平均寿命:6~10年
缺点:
容易患眼疾;由于矮猫鼻腔较短,容易患眼部疾病,如泪腺堵塞、猫鼻分支、泪痕严重等。需要特别小心,不适合新手饲养。
容易肥胖;矮猫很懒,不爱运动,经常喜欢躺着不动。基本上都是吃饱了醒来就吃,所以容易肥胖,容易导致心脏病,糖尿病,关节炎。
寿命短;矮猫除了肥胖,容易影响寿命,还有多囊肾,可能导致猝死。所以矮猫的平均寿命很短,可能只能陪你几年。想要延长矮猫的寿命,就要采取科学的养猫方式,选择清淡不油腻的猫粮。
结论:养猫难吗?
相关问答:折耳猫一般发病是几岁

折耳猫的话,它得软骨病的几率是比较大的。当然同时它有些症状的表现也不一样,比如说有些折耳猫,它的尾巴又粗、又短、又硬、不能弯曲,有些折耳猫它的脚会出现一些畸形,如果说它表现出疼痛,比如说走路瘸或者是不敢走,那就说明它的软骨已经出现了病变,这个时候我们需要给它补充一些软骨素,让它润滑它的关节,或者是给它一些止痛的药。如果说它完全已经不能走,这个时候我们就需要拍片子去看它的软骨,或者是它的关节是否已经长出了骨刺。如果说长出了骨刺或者是很严重的骨质增生,那么这个猫的生活质量会非常的差。如果已经到不能走路的地步,我们一般建议就是安乐死。同时折耳猫还有一些其它的先天性的疾病,包括心脏,包括多囊肾,这些我们都是需要去观察,如果你养一只折耳猫,发现它有一些异常,走路不稳,或者是精神沉郁,那我们就需要做一些检查,去排查有没有这些问题,再看怎么去治疗。
相关问答:小猫一直挠耳朵旁边,这是怎么回事?
应该有两种可能,一种是耳螨,一种是真菌或细菌感染。
如何鉴别是否是耳螨,怎样防治?
耳螨也叫耳疥虫,是猫和狗常见的耳道寄生虫有传染性,多发于猫、狗、狐狸和貂等群体。
家里有一只猫或狗感染耳螨的话,就要给所有宠物进行防治,因为耳螨会通过近距离接触传播,感染耳螨不分年龄,且猫比狗更容易被感染。
不过铲屎官可以不用太担心,因为耳螨一般不会传染人,若有少数人发现自己皮肤泛红,那可能是有轻微过敏吧。
耳螨症状
感染了耳螨的皮肤会有严重的瘙痒或局部过敏反应。一般集中在耳道,头部和颈部,严重的情况可能全身瘙痒。耳朵的瘙痒表现为用后腿挠耳朵或甩头。
一旦发现主子有以上特征,那就做一下进一步检查吧,扒开主子的耳朵看看里面是否有红褐色或者黑色的耳道分泌物,看上去很脏,那是耳螨的排泄物、血或者死掉的耳螨。
如果发现主子耳朵有挠痕、出血、肿胀或拒绝检查,那基本能确定是耳螨无疑了。
家里备点百多邦、洁耳舒和医用棉签,自己给主子滴点洁耳舒然后用棉签帮他把外耳道掏干净,如果主子耳朵流血了就喷点百多邦。以后定期给主子掏耳朵可以防治耳螨。
如何鉴别是否是细菌和真菌感染?
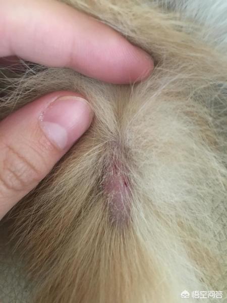
猫藓是一种猫咪常见的皮肤病,多发于体弱多病和营养不良的猫咪。症状很简单,毛发成片脱落,皮肤上结壳有皮屑等。
猫藓大多是真菌感染,治愈时间有点长但不会影响猫咪的生活,猫藓容易反复发作或传染人类,所以一定要注意给环境消毒,可以用杜邦卫可消毒。
铲屎官可以吃点B族维生素预防。至于治疗猫咪,最好是把患处的皮屑清理干净,要小心不要弄破皮,,皮屑也要收拾好免得感染猫咪的其他部位或感染其他猫咪。然后可以用麻辣洗泡澡,喷点藓力宁,多让猫咪晒太阳。最重要的是补充营养,增强抵抗力。人和猫的生活用品一定要勤消毒。
如果家里养了很多猫咪却只有一只猫咪得猫藓,那就及时隔离,给其他猫咪做好防治。而患病猫咪身体的其他部位也要做好防治。
还有什么补充的嘛?欢迎评论~
热门宠物












